梁卫新等业主申请建设工程规划报批手续批前公示
我局收到梁卫新等业主提出的建设工程规划报批手续申请及相关材料。现根据《中华人民共和国城乡规划法》、《广东省城乡规划条例》的有关规定,对该项目进行批前公示。
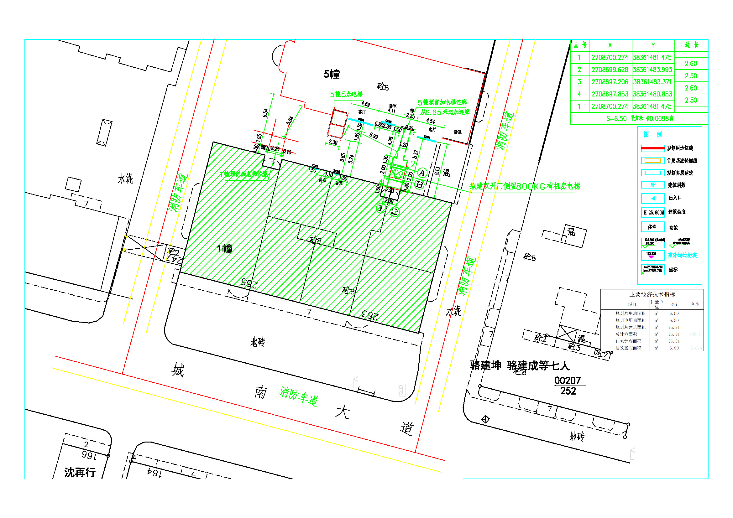
一、项目位置及项目概况(报来方案):该建设用地位于阳山县阳城镇城南大道东247号1幢,用地性质为住宅兼容商服用地,电梯用地面积为6.5㎡,拟加建一台8层电梯,首层占地面积5.50㎡,总建筑面积95.91㎡,建筑高度29.7米。(详见附图)
二、项目内容:梁卫新等业主加装电梯工程
三、公示时间:2023年6月8日至2023年6月17日
四、公示方式和地点:
1.建设现场;
2.阳山县政府门户网(http://www.yangshan.gov.cn)。
五、意见及反馈:
1.公示期间,凡对以上内容有异议的,可通过书面形式进行反馈;
2.有效的反馈意见,必须包括提出异议的理由、反馈者的真实姓名、有效联系方式、身份证复印件(个人则提供身份证复印件,单位则提供法人身份证复印件,委托代理人则提供委托代理人身份证复印件),利害关系人必须提供相关证明材料(如国土证、房产证或销售合同等),有效的反馈意见,将作为行政许可的参考;
3.利害关系人有申请听证的权利,如需申请听证,请于公示期间向我局听证机构提出书面申请,逾期提出的,视为放弃以上权利。
六、联系部门及电话:
部门地址:清远市阳山县阳城镇北门路362号阳山县自然资源局规划股
邮政编码:513100 咨询电话:0763-7883983
注:本公示为审批前公示,不代表已同意并完成审批。
阳山县自然资源局
2023年6月8日
附图:





扫码关注官方公众号
移动门户